The Guardian’ın haberine göre, saatte 295 kilometre hıza ulaşan Melissa Kasırgası, bölge genelinde çok sayıda can kaybına neden oldu. Haiti Sivil Savunma Kurumu, ülkede 30 kişinin hayatını kaybettiğini, 20 kişinin yaralandığını ve 20 kişinin kaybolduğunu açıkladı.
Kasırga nedeniyle ülkenin güneyinde nehirlerin taşması sonucu geniş çaplı sel felaketleri yaşandı. En çok etkilenen bölgelerde binlerce ev kullanılamaz hale geldi.
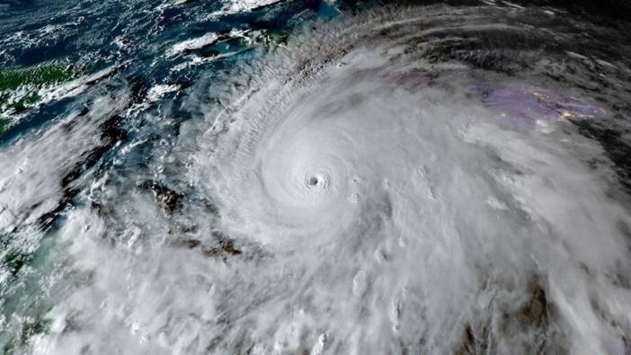
Karayipler alarmda: Melissa Kasırgası 7 can aldı
JAMAİKA’DA ÖLÜ SAYISI 19’A ÇIKTI
Kasırganın en ağır etkilediği ülkelerden biri olan Jamaika’da Eğitim, Gençlik ve Enformasyon Bakanı Dana Morris Dixon, önceki gün 4 olarak açıklanan ölü sayısının 19’a yükseldiğini duyurdu.
Başkent Kingston’daki ana uluslararası havalimanı, yardım malzemeleri taşıyan uçakların inişi için yeniden hizmete açıldı. Arama-kurtarma ekipleri, sel sularının bastığı yerleşim alanlarında çalışmalarını sürdürüyor.
KÜBA’DA 735 BİN KİŞİ TAHLİYE EDİLDİ
Melissa Kasırgası’nın yaklaşmasıyla birlikte Küba Devlet Başkanı Miguel Díaz-Canel, ülkede 735 binden fazla kişinin güvenli bölgelere tahliye edildiğini açıkladı. Küba’da şu ana kadar can kaybı bildirilmezken, kasırganın altyapı ve enerji hatlarında ciddi hasara yol açtığı bildirildi.
ABD’DEN YARDIM EKİBİ GÖNDERİLDİ
ABD yönetimi, kasırganın yol açtığı yıkımın ardından Haiti, Jamaika ve Küba’ya arama-kurtarma ve afet yardım ekipleri gönderildiğini açıkladı. Yardımlar kapsamında temiz su, gıda ve tıbbi malzeme desteği sağlanıyor.
Melissa Kasırgası, Karayipler genelinde onlarca yerleşim yerini etkilerken, ölü sayısının 29’dan 49’a çıktığı açıklandı. Yetkililer, fırtınanın ardından bulaşıcı hastalık riski, altyapı çöküşü ve gıda kıtlığına karşı uluslararası yardım çağrısında bulundu.
