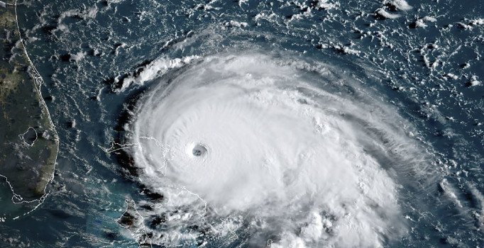
ABD'nin Florida eyaleti açıklarında Atlas Okyanusu'nda oluşan Humberto Kasırgası'nın seviyesinin birinci kategoriye yükseltildiği bildirildi.
Miami'deki ABD Ulusal Kasırga Merkezi, Bermuda'nın 1260 kilometre batısında yer alan Humberto'nun saatte 120 kilometre rüzgar hızıyla kuzeydoğuya doğru ilerlediğini açıkladı.
Seviyesi birinci kategoriye yükseltilen Humberto Kasırgası'nın gelecek günlerde Bahamalar'ın yanı sıra Florida'dan başlayıp Kuzey Caroline'ya kadar ABD'nin kıyı kesimlerini etkisi altına alabileceği uyarısında bulunuldu.
Bahamalar'ı ay başında beşinci kategoride vuran Dorian Kasırgası, 50 kişinin ölümüne yol açmıştı. Ada ülkesinde hala 1300 kişinin kayıp olduğu ifade ediliyor.
ANKARA/AA
İlgili Haberler
